İşte 30 saniyede bir profesyonel gibi pafta okumanızı sağlayacak, karmaşayı fırsata dönüştüren o rehber:
Arsanızın Karakterini Keşfedin: Temel Kavramlar
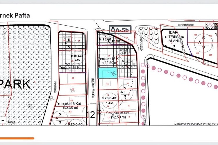
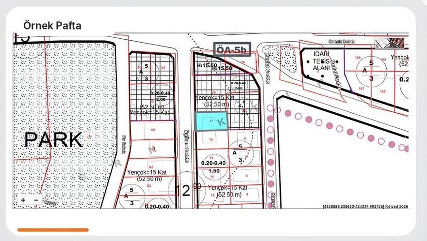
Bir imar planına baktığınızda görmeniz gereken üç anahtar kelime vardır: H (Yükseklik), TAKS (Taban Oturumu) ve Emsal (İnşaat Hakkı). Bu terimler, sadece teknik birer kod değil; arsanızın finansal değerini ve fiziksel sınırlarını belirleyen matematiksel gerçeklerdir.
TAKS: Zeminde Ne Kadar Alan Kaplayacaksınız?
TAKS (Taban Alanı Kat Sayısı), binanızın bahçede ne kadar yayılacağını söyler. Örneğin; 0.20-0.40 aralığında bir TAKS değerine sahip $400\text{ m}^2$ bir arsanız varsa, alt sınırda $80\text{ m}^2$, üst sınırda ise $160\text{ m}^2$ bir taban oturumu yapabilirsiniz. Bu değer, hem komşularınızla olan mesafenizi hem de bahçe kullanım alanınızı doğrudan etkiler.
Emsal (KAKS): Toplamda Kaç Metrekare İnşaat Yapılabilir?
Emsal, yatırımın geri dönüşünü belirleyen en hayati çarpandır. Toplam inşaat hakkınızı bulmak için arsa büyüklüğünüzü emsal değeriyle çarpanız yeterlidir. 1.50 emsalli $400\text{ m}^2$ bir arsa, size toplamda $600\text{ m}^2$ bir inşaat alanı vaat eder.
Kat ve Yükseklik Sınırı: Gökyüzüne Ne Kadar Yakınsınız?
Paftada göreceğiniz “H” harfi doğrudan yüksekliği (metre cinsinden), “Yençok” ise yapılabilecek maksimum sınırı temsil eder. Eğer bir paftada “Yençok = 15 Kat (52.50 m)” ibaresini görüyorsanız, belediyenin size hem kat hem de metre bazında kesin bir sınır çizdiğini anlamalısınız.
Paftadaki Gizli Detaylar: Nizam ve Alan Notları
Sadece sayılar değil, harfler de konuşur. Paftadaki “A” harfi, yapının komşu parsellerle birleşmediği “Ayrık Nizam” bir yapılaşmayı müjdeler. “5 / A / 3” gibi bir kodlama gördüğünüzde ise bu; 5 metre çekme mesafesi olan, ayrık nizamda inşa edilecek 3 katlı bir yapıyı tarif eder.
Ayrıca sosyal donatılara dikkat! Paftadaki PARK ve İDARİ TESİS alanları, çevrenizdeki yaşam kalitesini ve mülkünüzün değerini artıracak sosyal komşularınızdır. Ancak ÖA-5b (Önlemli Alan) gibi teknik notlara rastladığınızda, zemin raporlarını detaylıca incelemek güvenli bir yapılaşma için olmazsa olmazdır.
Her pafta kendi içerisinde özeldir ve her zaman güncel plan notları ile lejantla birlikte değerlendirilmelidir. Gayrimenkulde doğru analiz, sadece bir haritayı okumakla değil, o haritanın gelecekteki yaşam biçiminize neler katacağını anlamakla başlar.













